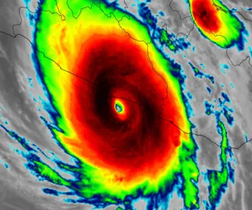
Huracán Melissa toca tierra en Jamaica con vientos extremos Frank Ramos Noticias, Mundo octubre 28, 2025 Melissa impactó el suroeste de Jamaica con vientos cercanos a 300 km/h, cortes masivos de energía y riesgo de marejada ciclónica en la costa sur. Autoridades piden no salir de refugios.
Mujer asegura que yucatecos se 'inventan' huracanes y desata indignación Paola Meraz Noticias, México octubre 8, 2024 Sandra, quien ha sido bautizada como #LadyHuracanes, critica a los yucatecos por supuestamente 'inventarse' los fenómenos naturales para evitar ir al trabajo o a la escuela.
Polvo del Sahara se acerca a México; ¿Qué es y por qué puede evitar huracanes? El Universal Noticias, México junio 30, 2024 Se anticipa que la primera masa de polvo del Sahara del año alcance Florida y el Golfo de México durante este fin de semana.
Protección Civil se prepara para posible llegada de huracanes a Sonora María José Noyola Noticias, Sonora mayo 20, 2024 La temporada de huracanes en México inició el pasado 15 de mayo, según lo informó el Servicio Meteorológico Nacional.
Arranca temporada de huracanes y ciclones en México; pronóstico para este año El Universal Noticias, Mundo mayo 15, 2024 Estos son los pronósticos que se tienen de huracanes, ciclones y tormentas tropicales para México y el Pacífico.
Llegada de huracanes a Sonora sería muy beneficiosa para presas: Conagua María José Noyola Noticias, Sonora mayo 10, 2024 El director general del Organismo Cuenca Noroeste definió que la llegada de un huracán podría llenar las presas en Sonora.
Inician trabajos de prevención por temporada de huracanes en Guaymas Blanca Ruelas Noticias, Sonora marzo 11, 2024 Se iniciaron con acciones de inspección en algunos sectores del puerto donde se presentan situaciones de riesgo, además de revisar protocolos de emergencia en coordinación con autoridades e instituciones de rescate.
Huracán 'Otis', el más fuerte del Pacífico Oriental en la historia: NOAA El Universal Noticias, Mundo noviembre 3, 2023 Sólo otra tormenta registrada, el huracán Patricia en 2015, superó la rápida intensificación de 'Otis' en el Pacífico oriental, con un aumento de 120 mph en 24 horas, señaló la NOAA.
Así se eligen los nombre de los huracanes El Universal Noticias, Mundo Curioso agosto 21, 2023 Esta medida fue implementada desde 1953, cuando cada ciclón tropical generado en el Atlántico era bautizado siguiendo las listas creadas por el Centro Nacional de Huracanes de Estados Unidos.
¿Quién le da nombre a los ciclones y huracanes? El Universal Noticias, Mundo Curioso noviembre 15, 2022 El nombre de los ciclones y huracanes se da por un consenso internacional y no es una tarea tomada a la ligera.