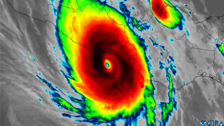
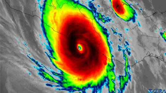
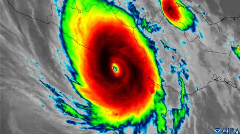
Huracán 'Otis', el más fuerte del Pacífico Oriental en la historia: NOAA
Sólo otra tormenta registrada, el huracán Patricia en 2015, superó la rápida intensificación de 'Otis' en el Pacífico oriental, con un aumento de 120 mph en 24 horas, señaló la NOAA.
La Oficina Nacional de Administración Oceánica y Atmosférica (NOAA, por sus siglas en inglés) señaló que 'Otis' es el huracán más fuerte en la historia del Pacífico Oriental en tocar tierra y en la era satelital.
En un reporte generado por la NOAA se advierte que "debido a que la tormenta se intensificó tan rápidamente, con velocidades del viento que aumentaron a 115 mph en 24 horas, los más de un millón de personas que viven en la ciudad y sus alrededores tuvieron muy poco tiempo para prepararse para la monstruosa tormenta antes de tocar tierra".
Sólo otra tormenta registrada, el huracán Patricia en 2015, superó la rápida intensificación de 'Otis' en el Pacífico oriental, con un aumento de 120 mph en 24 horas, señaló la NOAA.
El organismo de meteorología de Estados Unidos destaca en su informe la rapidez con la que se intensificó el huracán 'Otis', que impactó con categoría 5, la máxima en la escala Saffir-Simpson, el miércoles 25 de octubre, a las 00:25 horas.
Los daños por huracán 'Otis' en Acapulco
En México, la coordinadora Nacional de Protección Civil, Laura Velázquez, informó que se mantiene en 46 el número de personas fallecidas por el huracán 'Otis' en Guerrero, pero subió de 52 a 56 el número de personas desaparecidas.
A nueve días de que el huracán devastó Acapulco, Guerrero, la funcionaria dijo que 11 mil 500 elementos de la Guardia Nacional, Ejército, Marina y Fuerza Aérea Mexicana atienden la fase de reconstrucción del puerto y Coyuca de Benítez.
Informó que las Fuerzas Armadas hacen patrullajes y brinda seguridad en las zonas afectadas.
Además de que la Guardia Nacional proporciona seguridad a las estaciones de gasolina, bodegas, central de abastos y sedes bancarias.
Mientras que la Marina, por medio del hospital naval, ha apoyado a la población con más de mil 030 consultas médicas y con buques ha distribuido combustible y turbosina.


