¿Huracán Hilary tocará Sonora? Esto dice el pronóstico
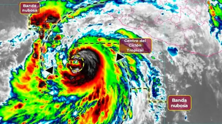
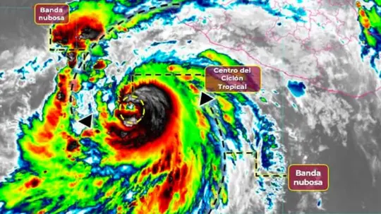
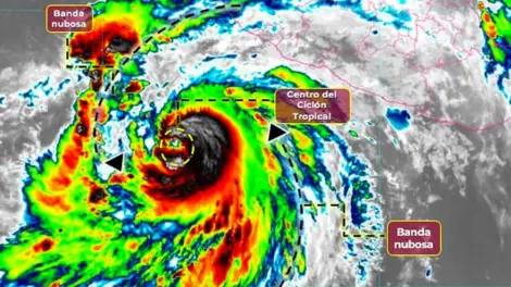
Según los pronósticos de trayectoria, se proyecta que el Huracán Hilary toque tierra en Baja California, ya debilitado a la categoría de tormenta tropical, durante el transcurso del domingo o lunes.
En base a datos proporcionados por el Servicio Meteorológico Nacional, se anticipa que el Huracán Hilary no tendrá un impacto directo en Sonora. Sin embargo, se espera que este fenómeno climático aporte algunas precipitaciones a nuestra región en los próximos días.
Según los pronósticos de trayectoria, se proyecta que el Huracán Hilary toque tierra en Baja California, ya debilitado a la categoría de tormenta tropical, durante el transcurso del domingo o lunes. A pesar de su debilitamiento, aún podría generar condiciones climáticas adversas en la región noroeste de México.
La seguridad de nuestra comunidad es primordial, por lo que se exhorta a todos a mantenerse informados a través de fuentes oficiales, como el Servicio Meteorológico Nacional y las autoridades locales. Además, se recomienda estar atentos a los pronósticos de lluvia específicos para el estado de Sonora, sobre todo a partir del sábado.
Prepararse para condiciones climáticas cambiantes es esencial para garantizar la seguridad y el bienestar de todos los residentes. Mantenerse informado y tomar precauciones adecuadas ayudará a minimizar los riesgos asociados con eventos climáticos como el Huracán Hilary.
Recuerda estar alerta a las actualizaciones y consejos de seguridad proporcionados por las autoridades competentes. Juntos, podemos enfrentar de manera responsable los desafíos que presenta el clima y garantizar la protección de nuestra comunidad.


