'Erick' sube a categoría 4 y amenaza con impacto devastador en México
Previamente autoridades habían informado que el huracán tocaría tierra la madrugada de este jueves en las costas de Guerrero y Oaxaca, según el Servicio Meteorológico Nacional (SMN).
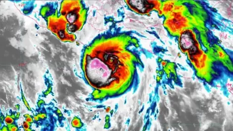
El huracán 'Erick' se intensificó a categoría 4 la noche del miércoles 18 de junio, apenas unas horas después de haber sido clasificado como categoría 3.
El Centro Nacional de Huracanes (NHC) de Estados Unidos confirmó el ascenso de nivel en su boletín emitido a las 10:00 de la noche, hora de Sonora (00:00 CST del jueves), al advertir que se trata de un ciclón "extremadamente peligroso" con vientos sostenidos de 230 kilómetros por hora y ráfagas de hasta 280 km/h.
Según la información más reciente, el fenómeno avanza hacia el noroeste y se espera que toque tierra la madrugada de este jueves, en un área comprendida entre Lagunas de Chacahua, Oaxaca, y Copala, Guerrero, de acuerdo con reportes del Servicio Meteorológico Nacional (SMN) y el propio NHC.
Las autoridades meteorológicas estiman que el impacto directo del núcleo del huracán podría provocar daños devastadores en estructuras, así como inundaciones costeras peligrosas, marejadas ciclónicas y oleaje de hasta 8 metros. Además, se prevén lluvias extraordinarias en Oaxaca y torrenciales en Guerrero y Chiapas, lo que aumenta el riesgo de inundaciones súbitas y deslaves, especialmente en zonas montañosas.
A las 9:30 PM (hora de Sonora), cuando aún era categoría 3, la Conagua informó que el ciclón se localizaba a 75 kilómetros de Puerto Escondido y a 200 kilómetros de Punta Maldonado, desplazándose hacia el noroeste con mayor intensidad.
El Centro Nacional de Huracanes advirtió que "las condiciones climáticas ya se están deteriorando" en las zonas bajo alerta, y que los preparativos para proteger vidas y propiedades debieron completarse durante el miércoles, debido a la inminencia del impacto.
Frente al riesgo, la Coordinación Nacional de Protección Civil (CNPC) activó alertas rojas y puso en marcha planes de emergencia como el Plan DN-III-E de la Secretaría de la Defensa Nacional y el Plan Marina de la Secretaría de Marina, mientras que la CFE y Conagua se mantienen en alerta para atender posibles afectaciones.
El huracán 'Erick' es ya uno de los fenómenos más intensos registrados en lo que va de la temporada ciclónica 2025, y las autoridades exhortan a la población a mantenerse informada a través de canales oficiales, seguir las indicaciones de evacuación en zonas de alto riesgo y no salir de sus refugios o viviendas hasta que se declare el fin del peligro.


